Reflections on

We are deeply saddened to inform you about the passing of Sandy Posey, a beloved singer from the 1960s. Sandy, with her soulful voice and captivating storytelling,…

People who have>>>

Palmistry is a form of divination that has been passed down from generation to generation. It was first used in China and India more than 5,000 years…

Avoid these >>>>>

Do you feel nervous about your gynecologist visit because the thought of exposing yourself to your doctor feels totally uncomfortable? You’re definitely not alone—many women feel the…

Trump has sign>>>>

In a recent move to combat anti-Semitism, former U.S. President Donald Trump signed an executive order that has significant implications for foreign students and individuals involved in…

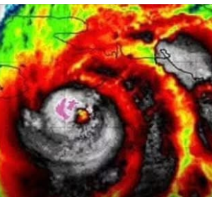
Hurricane set to >>>

Hurricane Rafael, an unusual November storm, is gathering strength and moving toward the United States with significant force, having recently been upgraded to a Category 2. With…

America’s most be>>>

A tragic plane crash killed seven members of the Nelons, a well-loved gospel family. The victims were Jason and Kelly Nelon Clark, their daughter Amber, her husband…

Texas Man Sent>>>>

A Texas man has been sentenced to 18 months in federal prison after being convicted of assaulting a U.S. Border Patrol (USBP) agent. Kevin Dominguez, 26, of…

Dad With 240 Tatt>>>>

Don’t judge a book by its cover is an old saying, but it never hurts to be reminded of it. If a parent does not fit the…

Parents under fir>>>>

In a small suburban neighborhood, a 12-year-old boy has become the center of a heated controversy after his parents permitted him to cover his face with intricate…

I Acciden>>>>

Elliot’s world had always been tightly controlled. He preferred it that way—a life of order, responsibility, and clear boundaries. But the silence in his home since Mia’s…