
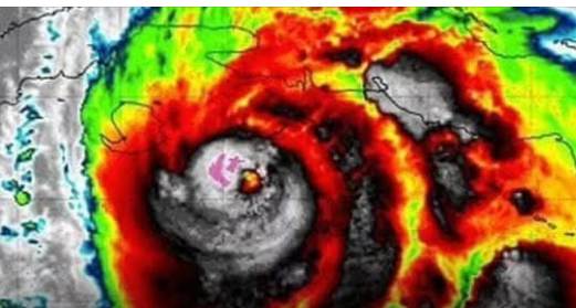
Hurricane Rafael, an unusual November storm, is gathering strength and moving toward the United States with significant force, having recently been upgraded to a Category 2. With maximum sustained winds currently reaching 110 mph, Rafael represents a rare and potentially severe threat for this time of year, particularly for regions from Texas to the Florida Panhandle.
Forecasts indicate that western Cuba will be among the first to feel the storm’s impact, with landfall expected within hours, according to the latest data from the National Hurricane Center (NHC). This puts communities in Cuba, as well as in the southeastern US, on high alert.
The NHC has issued hurricane warnings for areas along the projected path, including the Florida Keys, where up to three inches of rainfall and an increased tornado risk are anticipated. Flash flooding in
low-lying areas remains a concern, especially as Rafael could continue to gather strength before moving over the Gulf of Mexico. “People in the Florida Keys and Gulf Coast regions should be prepared for significant weather disruptions,” NHC officials have warned, urging residents to monitor the latest advisories closely